Category 5 Tropical Cyclone Ita 7

See : 256km Radar Loop for Cairns, 06:00 11/04/2014 to 06:00 12/04/2014 UTC

Tropical Cyclone Ita Visible Image JMA 11th April 2014
Tropical Cyclone Ita Visible Image JMA 11th April 2014
Spectacular vision of the eye of Tropical Cyclone Ita
Spectacular vision of the eye of Tropical Cyclone Ita
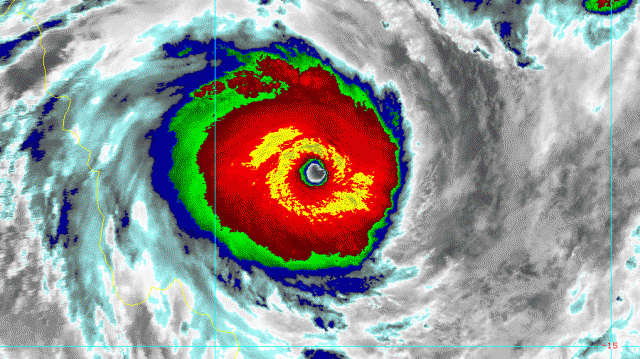
Tropical Cyclone Ita 11th April 2014
Tropical Cyclone Ita 11th April 2014

Latest Image from Tropical Cyclone Ita with well formed eye - dangerous situation exists!

Tropical Cyclone Ita with eye indicating a severe organised tropical cyclone in the Coral Sea approaching Queensland's north coast.
Tropical Cyclone Ita with eye indicating a severe organised tropical cyclone in the Coral Sea approaching Queensland's north coast.
On April 9, the TRMM satellite saw rain falling at a rate of over 99 mm/3.9 inches per hour within Ita's feeder bands over the coast of southeastern Papua New Guinea. Image Credit: NASA/SSAI, Hal Pierce
On April 9, the TRMM satellite saw rain falling at a rate of over 99 mm/3.9 inches per hour within Ita's feeder bands over the coast of southeastern Papua New Guinea.
Image Credit: NASA/SSAI, Hal Pierce

Tropical Cyclone Ita Category 5
Tropical Cyclone has been upgraded to a category 5 cyclone by the Bureau of Meteorology today. Ita has a distinct eye typical of severe tropical cyclones with a central pressure down to 935hPa and wind gusts near the centre anticipated at this stage to be 285km/h! The tropical cyclone's anticipated path has only changed slightly in the last 24 to 48 hours with expected impact just north of Cooktown, Queensland. Unfortunately though, even though this is uncertain, the track veers to the south maximising its impact along the coastal region particularly in terms of very heavy rainfall and flooding.

Emergency services are on full alert at this point.

 

223 thought on “Category 5 Tropical Cyclone Ita”
  1. It seems Ita has intensified further from the Buruea of Meteorology "SEVERE TROPICAL CYCLONE ITA, CATEGORY 5, poses a serious threat to communities along the far north Queensland coast. It is expected to move southwest to southsouthwest and make landfall between Cape Melville and Cooktown late this afternoon or tonight as a CATEGORY 5 Tropical Cyclone with VERY DESTRUCTIVE WINDS to 300 kilometres per hour near the core and GALES extending out to 200 kilometres from the centre.

  2. It seems Ita has intensified further from the Buruea of Meteorology "SEVERE TROPICAL CYCLONE ITA, CATEGORY 5, poses a serious threat to communities along the far north Queensland coast. It is expected to move southwest to southsouthwest and make landfall between Cape Melville and Cooktown late this afternoon or tonight as a CATEGORY 5 Tropical Cyclone with VERY DESTRUCTIVE WINDS to 300 kilometres per hour near the core and GALES extending out to 200 kilometres from the centre.

  3. It seems Ita has intensified further from the Buruea of Meteorology "SEVERE TROPICAL CYCLONE ITA, CATEGORY 5, poses a serious threat to communities along the far north Queensland coast. It is expected to move southwest to southsouthwest and make landfall between Cape Melville and Cooktown late this afternoon or tonight as a CATEGORY 5 Tropical Cyclone with VERY DESTRUCTIVE WINDS to 300 kilometres per hour near the core and GALES extending out to 200 kilometres from the centre.

  4. It seems Ita has intensified further from the Buruea of Meteorology "SEVERE TROPICAL CYCLONE ITA, CATEGORY 5, poses a serious threat to communities along the far north Queensland coast. It is expected to move southwest to southsouthwest and make landfall between Cape Melville and Cooktown late this afternoon or tonight as a CATEGORY 5 Tropical Cyclone with VERY DESTRUCTIVE WINDS to 300 kilometres per hour near the core and GALES extending out to 200 kilometres from the centre.

  5. It seems Ita has intensified further from the Buruea of Meteorology "SEVERE TROPICAL CYCLONE ITA, CATEGORY 5, poses a serious threat to communities along the far north Queensland coast. It is expected to move southwest to southsouthwest and make landfall between Cape Melville and Cooktown late this afternoon or tonight as a CATEGORY 5 Tropical Cyclone with VERY DESTRUCTIVE WINDS to 300 kilometres per hour near the core and GALES extending out to 200 kilometres from the centre.

  6. It seems Ita has intensified further from the Buruea of Meteorology "SEVERE TROPICAL CYCLONE ITA, CATEGORY 5, poses a serious threat to communities along the far north Queensland coast. It is expected to move southwest to southsouthwest and make landfall between Cape Melville and Cooktown late this afternoon or tonight as a CATEGORY 5 Tropical Cyclone with VERY DESTRUCTIVE WINDS to 300 kilometres per hour near the core and GALES extending out to 200 kilometres from the centre.

  7. It seems Ita has intensified further from the Buruea of Meteorology "SEVERE TROPICAL CYCLONE ITA, CATEGORY 5, poses a serious threat to communities along the far north Queensland coast. It is expected to move southwest to southsouthwest and make landfall between Cape Melville and Cooktown late this afternoon or tonight as a CATEGORY 5 Tropical Cyclone with VERY DESTRUCTIVE WINDS to 300 kilometres per hour near the core and GALES extending out to 200 kilometres from the centre.

  8. It seems Ita has intensified further from the Buruea of Meteorology "SEVERE TROPICAL CYCLONE ITA, CATEGORY 5, poses a serious threat to communities along the far north Queensland coast. It is expected to move southwest to southsouthwest and make landfall between Cape Melville and Cooktown late this afternoon or tonight as a CATEGORY 5 Tropical Cyclone with VERY DESTRUCTIVE WINDS to 300 kilometres per hour near the core and GALES extending out to 200 kilometres from the centre.

  9. It seems Ita has intensified further from the Buruea of Meteorology "SEVERE TROPICAL CYCLONE ITA, CATEGORY 5, poses a serious threat to communities along the far north Queensland coast. It is expected to move southwest to southsouthwest and make landfall between Cape Melville and Cooktown late this afternoon or tonight as a CATEGORY 5 Tropical Cyclone with VERY DESTRUCTIVE WINDS to 300 kilometres per hour near the core and GALES extending out to 200 kilometres from the centre.

  10. It seems Ita has intensified further from the Buruea of Meteorology "SEVERE TROPICAL CYCLONE ITA, CATEGORY 5, poses a serious threat to communities along the far north Queensland coast. It is expected to move southwest to southsouthwest and make landfall between Cape Melville and Cooktown late this afternoon or tonight as a CATEGORY 5 Tropical Cyclone with VERY DESTRUCTIVE WINDS to 300 kilometres per hour near the core and GALES extending out to 200 kilometres from the centre.

  11. It seems Ita has intensified further from the Buruea of Meteorology "SEVERE TROPICAL CYCLONE ITA, CATEGORY 5, poses a serious threat to communities along the far north Queensland coast. It is expected to move southwest to southsouthwest and make landfall between Cape Melville and Cooktown late this afternoon or tonight as a CATEGORY 5 Tropical Cyclone with VERY DESTRUCTIVE WINDS to 300 kilometres per hour near the core and GALES extending out to 200 kilometres from the centre.

  12. It seems Ita has intensified further from the Buruea of Meteorology "SEVERE TROPICAL CYCLONE ITA, CATEGORY 5, poses a serious threat to communities along the far north Queensland coast. It is expected to move southwest to southsouthwest and make landfall between Cape Melville and Cooktown late this afternoon or tonight as a CATEGORY 5 Tropical Cyclone with VERY DESTRUCTIVE WINDS to 300 kilometres per hour near the core and GALES extending out to 200 kilometres from the centre.

  13. It seems Ita has intensified further from the Buruea of Meteorology "SEVERE TROPICAL CYCLONE ITA, CATEGORY 5, poses a serious threat to communities along the far north Queensland coast. It is expected to move southwest to southsouthwest and make landfall between Cape Melville and Cooktown late this afternoon or tonight as a CATEGORY 5 Tropical Cyclone with VERY DESTRUCTIVE WINDS to 300 kilometres per hour near the core and GALES extending out to 200 kilometres from the centre.

  14. It seems Ita has intensified further from the Buruea of Meteorology "SEVERE TROPICAL CYCLONE ITA, CATEGORY 5, poses a serious threat to communities along the far north Queensland coast. It is expected to move southwest to southsouthwest and make landfall between Cape Melville and Cooktown late this afternoon or tonight as a CATEGORY 5 Tropical Cyclone with VERY DESTRUCTIVE WINDS to 300 kilometres per hour near the core and GALES extending out to 200 kilometres from the centre.

  15. It seems Ita has intensified further from the Buruea of Meteorology "SEVERE TROPICAL CYCLONE ITA, CATEGORY 5, poses a serious threat to communities along the far north Queensland coast. It is expected to move southwest to southsouthwest and make landfall between Cape Melville and Cooktown late this afternoon or tonight as a CATEGORY 5 Tropical Cyclone with VERY DESTRUCTIVE WINDS to 300 kilometres per hour near the core and GALES extending out to 200 kilometres from the centre.

  16. It seems Ita has intensified further from the Buruea of Meteorology "SEVERE TROPICAL CYCLONE ITA, CATEGORY 5, poses a serious threat to communities along the far north Queensland coast. It is expected to move southwest to southsouthwest and make landfall between Cape Melville and Cooktown late this afternoon or tonight as a CATEGORY 5 Tropical Cyclone with VERY DESTRUCTIVE WINDS to 300 kilometres per hour near the core and GALES extending out to 200 kilometres from the centre.

  17. It seems Ita has intensified further from the Buruea of Meteorology "SEVERE TROPICAL CYCLONE ITA, CATEGORY 5, poses a serious threat to communities along the far north Queensland coast. It is expected to move southwest to southsouthwest and make landfall between Cape Melville and Cooktown late this afternoon or tonight as a CATEGORY 5 Tropical Cyclone with VERY DESTRUCTIVE WINDS to 300 kilometres per hour near the core and GALES extending out to 200 kilometres from the centre.

  18. This is no doubt a powerful system, isn't it interesting how we seem to get such compact cyclones compared to other parts of the globe!

  19. Looking at the satellite animation this morning and the eye is not fully open and seems to have a bit of a wobble which is not entirely consistent with category 5 systems however I'm sure the BoM has dropped probes inside the storm to confirm barometric pressure and intensity.

  20. Looking at the satellite animation this morning and the eye is not fully open and seems to have a bit of a wobble which is not entirely consistent with category 5 systems however I'm sure the BoM has dropped probes inside the storm to confirm barometric pressure and intensity.

  21. Looking at the satellite animation this morning and the eye is not fully open and seems to have a bit of a wobble which is not entirely consistent with category 5 systems however I'm sure the BoM has dropped probes inside the storm to confirm barometric pressure and intensity.

  22. Looking at the satellite animation this morning and the eye is not fully open and seems to have a bit of a wobble which is not entirely consistent with category 5 systems however I'm sure the BoM has dropped probes inside the storm to confirm barometric pressure and intensity.

  23. Looking at the satellite animation this morning and the eye is not fully open and seems to have a bit of a wobble which is not entirely consistent with category 5 systems however I'm sure the BoM has dropped probes inside the storm to confirm barometric pressure and intensity.

  24. Looking at the satellite animation this morning and the eye is not fully open and seems to have a bit of a wobble which is not entirely consistent with category 5 systems however I'm sure the BoM has dropped probes inside the storm to confirm barometric pressure and intensity.

  25. Looking at the satellite animation this morning and the eye is not fully open and seems to have a bit of a wobble which is not entirely consistent with category 5 systems however I'm sure the BoM has dropped probes inside the storm to confirm barometric pressure and intensity.

  26. Looking at the satellite animation this morning and the eye is not fully open and seems to have a bit of a wobble which is not entirely consistent with category 5 systems however I'm sure the BoM has dropped probes inside the storm to confirm barometric pressure and intensity.

  27. Looking at the satellite animation this morning and the eye is not fully open and seems to have a bit of a wobble which is not entirely consistent with category 5 systems however I'm sure the BoM has dropped probes inside the storm to confirm barometric pressure and intensity.

  28. Looking at the satellite animation this morning and the eye is not fully open and seems to have a bit of a wobble which is not entirely consistent with category 5 systems however I'm sure the BoM has dropped probes inside the storm to confirm barometric pressure and intensity.

  29. Looking at the satellite animation this morning and the eye is not fully open and seems to have a bit of a wobble which is not entirely consistent with category 5 systems however I'm sure the BoM has dropped probes inside the storm to confirm barometric pressure and intensity.

  30. Looking at the satellite animation this morning and the eye is not fully open and seems to have a bit of a wobble which is not entirely consistent with category 5 systems however I'm sure the BoM has dropped probes inside the storm to confirm barometric pressure and intensity.

  31. Looking at the satellite animation this morning and the eye is not fully open and seems to have a bit of a wobble which is not entirely consistent with category 5 systems however I'm sure the BoM has dropped probes inside the storm to confirm barometric pressure and intensity.

  32. Looking at the satellite animation this morning and the eye is not fully open and seems to have a bit of a wobble which is not entirely consistent with category 5 systems however I'm sure the BoM has dropped probes inside the storm to confirm barometric pressure and intensity.

  33. Looking at the satellite animation this morning and the eye is not fully open and seems to have a bit of a wobble which is not entirely consistent with category 5 systems however I'm sure the BoM has dropped probes inside the storm to confirm barometric pressure and intensity.

  34. Looking at the satellite animation this morning and the eye is not fully open and seems to have a bit of a wobble which is not entirely consistent with category 5 systems however I'm sure the BoM has dropped probes inside the storm to confirm barometric pressure and intensity.

  35. Looking at the satellite animation this morning and the eye is not fully open and seems to have a bit of a wobble which is not entirely consistent with category 5 systems however I'm sure the BoM has dropped probes inside the storm to confirm barometric pressure and intensity.

  36. Okay, i thought this storm was supposed to be at least a category 4 cyclone on impact but the observations at cape flattery before it went offline show a cyclone of only category 2 intensity. That's a pretty big difference.

  37. Okay, i thought this storm was supposed to be at least a category 4 cyclone on impact but the observations at cape flattery before it went offline show a cyclone of only category 2 intensity. That's a pretty big difference.

  38. Okay, i thought this storm was supposed to be at least a category 4 cyclone on impact but the observations at cape flattery before it went offline show a cyclone of only category 2 intensity. That's a pretty big difference.

  39. Okay, i thought this storm was supposed to be at least a category 4 cyclone on impact but the observations at cape flattery before it went offline show a cyclone of only category 2 intensity. That's a pretty big difference.

  40. Okay, i thought this storm was supposed to be at least a category 4 cyclone on impact but the observations at cape flattery before it went offline show a cyclone of only category 2 intensity. That's a pretty big difference.

  41. Okay, i thought this storm was supposed to be at least a category 4 cyclone on impact but the observations at cape flattery before it went offline show a cyclone of only category 2 intensity. That's a pretty big difference.

  42. Okay, i thought this storm was supposed to be at least a category 4 cyclone on impact but the observations at cape flattery before it went offline show a cyclone of only category 2 intensity. That's a pretty big difference.

  43. Okay, i thought this storm was supposed to be at least a category 4 cyclone on impact but the observations at cape flattery before it went offline show a cyclone of only category 2 intensity. That's a pretty big difference.

  44. Okay, i thought this storm was supposed to be at least a category 4 cyclone on impact but the observations at cape flattery before it went offline show a cyclone of only category 2 intensity. That's a pretty big difference.

  45. Okay, i thought this storm was supposed to be at least a category 4 cyclone on impact but the observations at cape flattery before it went offline show a cyclone of only category 2 intensity. That's a pretty big difference.

  46. Okay, i thought this storm was supposed to be at least a category 4 cyclone on impact but the observations at cape flattery before it went offline show a cyclone of only category 2 intensity. That's a pretty big difference.

  47. Okay, i thought this storm was supposed to be at least a category 4 cyclone on impact but the observations at cape flattery before it went offline show a cyclone of only category 2 intensity. That's a pretty big difference.

  48. Okay, i thought this storm was supposed to be at least a category 4 cyclone on impact but the observations at cape flattery before it went offline show a cyclone of only category 2 intensity. That's a pretty big difference.

  49. Okay, i thought this storm was supposed to be at least a category 4 cyclone on impact but the observations at cape flattery before it went offline show a cyclone of only category 2 intensity. That's a pretty big difference.

  50. Okay, i thought this storm was supposed to be at least a category 4 cyclone on impact but the observations at cape flattery before it went offline show a cyclone of only category 2 intensity. That's a pretty big difference.

  51. Okay, i thought this storm was supposed to be at least a category 4 cyclone on impact but the observations at cape flattery before it went offline show a cyclone of only category 2 intensity. That's a pretty big difference.

  52. Okay, i thought this storm was supposed to be at least a category 4 cyclone on impact but the observations at cape flattery before it went offline show a cyclone of only category 2 intensity. That's a pretty big difference.

  53. You may wish to explain further Jeff Brislane in respect to the Dvorack method and other methods of determining cyclone intensity. i.e. http://www.nhc.noaa.gov/pdf/06velden.pdf as compared to the other method(s). Of course flying within the eye is the most optimum as you suggested. Here is an explanations of different standards used around the world and the different standards making it difficult to make comparisons.

  54. You may wish to explain further Jeff Brislane in respect to the Dvorack method and other methods of determining cyclone intensity. i.e. http://www.nhc.noaa.gov/pdf/06velden.pdf as compared to the other method(s). Of course flying within the eye is the most optimum as you suggested. Here is an explanations of different standards used around the world and the different standards making it difficult to make comparisons.

  55. You may wish to explain further Jeff Brislane in respect to the Dvorack method and other methods of determining cyclone intensity. i.e. http://www.nhc.noaa.gov/pdf/06velden.pdf as compared to the other method(s). Of course flying within the eye is the most optimum as you suggested. Here is an explanations of different standards used around the world and the different standards making it difficult to make comparisons.

  56. You may wish to explain further Jeff Brislane in respect to the Dvorack method and other methods of determining cyclone intensity. i.e. http://www.nhc.noaa.gov/pdf/06velden.pdf as compared to the other method(s). Of course flying within the eye is the most optimum as you suggested. Here is an explanations of different standards used around the world and the different standards making it difficult to make comparisons.

  57. You may wish to explain further Jeff Brislane in respect to the Dvorack method and other methods of determining cyclone intensity. i.e. http://www.nhc.noaa.gov/pdf/06velden.pdf as compared to the other method(s). Of course flying within the eye is the most optimum as you suggested. Here is an explanations of different standards used around the world and the different standards making it difficult to make comparisons.

  58. You may wish to explain further Jeff Brislane in respect to the Dvorack method and other methods of determining cyclone intensity. i.e. http://www.nhc.noaa.gov/pdf/06velden.pdf as compared to the other method(s). Of course flying within the eye is the most optimum as you suggested. Here is an explanations of different standards used around the world and the different standards making it difficult to make comparisons.

  59. You may wish to explain further Jeff Brislane in respect to the Dvorack method and other methods of determining cyclone intensity. i.e. http://www.nhc.noaa.gov/pdf/06velden.pdf as compared to the other method(s). Of course flying within the eye is the most optimum as you suggested. Here is an explanations of different standards used around the world and the different standards making it difficult to make comparisons.

  60. You may wish to explain further Jeff Brislane in respect to the Dvorack method and other methods of determining cyclone intensity. i.e. http://www.nhc.noaa.gov/pdf/06velden.pdf as compared to the other method(s). Of course flying within the eye is the most optimum as you suggested. Here is an explanations of different standards used around the world and the different standards making it difficult to make comparisons.

  61. You may wish to explain further Jeff Brislane in respect to the Dvorack method and other methods of determining cyclone intensity. i.e. http://www.nhc.noaa.gov/pdf/06velden.pdf as compared to the other method(s). Of course flying within the eye is the most optimum as you suggested. Here is an explanations of different standards used around the world and the different standards making it difficult to make comparisons.

  62. You may wish to explain further Jeff Brislane in respect to the Dvorack method and other methods of determining cyclone intensity. i.e. http://www.nhc.noaa.gov/pdf/06velden.pdf as compared to the other method(s). Of course flying within the eye is the most optimum as you suggested. Here is an explanations of different standards used around the world and the different standards making it difficult to make comparisons.

  63. You may wish to explain further Jeff Brislane in respect to the Dvorack method and other methods of determining cyclone intensity. i.e. http://www.nhc.noaa.gov/pdf/06velden.pdf as compared to the other method(s). Of course flying within the eye is the most optimum as you suggested. Here is an explanations of different standards used around the world and the different standards making it difficult to make comparisons.

  64. You may wish to explain further Jeff Brislane in respect to the Dvorack method and other methods of determining cyclone intensity. i.e. http://www.nhc.noaa.gov/pdf/06velden.pdf as compared to the other method(s). Of course flying within the eye is the most optimum as you suggested. Here is an explanations of different standards used around the world and the different standards making it difficult to make comparisons.

  65. You may wish to explain further Jeff Brislane in respect to the Dvorack method and other methods of determining cyclone intensity. i.e. http://www.nhc.noaa.gov/pdf/06velden.pdf as compared to the other method(s). Of course flying within the eye is the most optimum as you suggested. Here is an explanations of different standards used around the world and the different standards making it difficult to make comparisons.

  66. You may wish to explain further Jeff Brislane in respect to the Dvorack method and other methods of determining cyclone intensity. i.e. http://www.nhc.noaa.gov/pdf/06velden.pdf as compared to the other method(s). Of course flying within the eye is the most optimum as you suggested. Here is an explanations of different standards used around the world and the different standards making it difficult to make comparisons.

  67. You may wish to explain further Jeff Brislane in respect to the Dvorack method and other methods of determining cyclone intensity. i.e. http://www.nhc.noaa.gov/pdf/06velden.pdf as compared to the other method(s). Of course flying within the eye is the most optimum as you suggested. Here is an explanations of different standards used around the world and the different standards making it difficult to make comparisons.

  68. You may wish to explain further Jeff Brislane in respect to the Dvorack method and other methods of determining cyclone intensity. i.e. http://www.nhc.noaa.gov/pdf/06velden.pdf as compared to the other method(s). Of course flying within the eye is the most optimum as you suggested. Here is an explanations of different standards used around the world and the different standards making it difficult to make comparisons.

  69. You may wish to explain further Jeff Brislane in respect to the Dvorack method and other methods of determining cyclone intensity. i.e. http://www.nhc.noaa.gov/pdf/06velden.pdf as compared to the other method(s). Of course flying within the eye is the most optimum as you suggested. Here is an explanations of different standards used around the world and the different standards making it difficult to make comparisons.

  70. I was logged in to the Cape Flattery weather station between 9.50 pm and 10.20 pm at the time the eye of the tropical cyclone was crossing the coast at or close to this point to obtain rain and wind data. Initially the weather station was updating but at around 10 pm or shortly afterwards, the station went offline. Unfortunately, there is no data available on windspeeds, rainfall, dew points etc beyond 10 pm.

    This is where the storm made landfall however I am able to provide data to 10 pm for the record keeping.

    Cape Flattery – Station Number 031213 (Latitude 14.97 S and Longitude 145.31 E). Height – 18.5 metres above sea level (Closest station to the eye I can find where it crossed the coast).

    Strong wind gusts exceeding 90 km/h commenced from 1.30 pm. First gusts of 93 km/h at 2 pm and by 3.30 pm gusts to 98 km/h commenced from the SE direction.

    There is a gust of 113 km/h at 7.19 pm (SE direction).

    Very strong gusts of 154 km/h at 8.01 pm and again at 8.40 pm (SE direction).
    Very strong gusts of 156 km/h at 8.50 pm (SE direction).
    At 9 pm a gust of 159 km/h is recorded and repeated again at 9.03 pm. An average speed peak of 113 km/h is recorded at 9 pm with the higher gusts to 159 km/h.

    A reading at 9.25 pm shows a temperature of 25.1C, Dew points of 24.2C and winds swinging more to the east at an average speed of 85 km/h with a gust to 135 km/h.

    A reading at 9.30 pm shows 77.6 mm of rain but it is tapering off.

    A reading at 10 pm shows a temperature of 25.4C, Dew points of 24.5C and winds swinging to the NE at an average speed of 69 km/h with gusts to 135 km/h. There is 78 mm of rain in the rain guage. This shows only 0.4 mm of rain in the space of 30 minutes. The eye is extremely close.

    Unfortunately, this is the last reading I could obtain before the weather station went offline and I could not obtain any more data.

    This is demonstrating that up until 10 pm, peak wind gusts to 159 km/h had been occurring and other gusts to 135 km/h were taking place.

    Unfortunately, I am unable to find a final rainfall reading at this station for the 24 hours till 9 am 12/4/14.

    Rainfall

    The storm has brought considerable rainfall to the region with some incredible falls observed. Flooding is highly likely along with any storm surge. All rainfalls exceeding 150 mm are outlined below:-

    Bairds TM – 401 mm (The highest tally).
    Battle Camp TM – 328 mm.
    China Camp TM – 285 mm.
    Daintree Village – 260 mm.
    Flaggy TM – 213 mm.
    Cooperlode Dam Alert – 190 mm.
    Mossman South Alert – 183 mm.
    Myola Alert – 183 mm.
    Mona Mona Alert 179 mm.
    Jarra Creek Alert – 172 mm.
    Tapas Alert – 170 mm.
    Cooktown – 161 mm.
    Bulgan Creek Alert – 152 mm.
    Peats Bridge Alert – 151 mm.

    I attach the rainfall map showing the heaviest totals for the region.

  71. I see no pictures at this point that points to Category 4 damage – in fact I doubt Category 3 either but I will await more pictures of the event.

  72. I see no pictures at this point that points to Category 4 damage – in fact I doubt Category 3 either but I will await more pictures of the event.

  73. I see no pictures at this point that points to Category 4 damage – in fact I doubt Category 3 either but I will await more pictures of the event.

  74. I see no pictures at this point that points to Category 4 damage – in fact I doubt Category 3 either but I will await more pictures of the event.

  75. I see no pictures at this point that points to Category 4 damage – in fact I doubt Category 3 either but I will await more pictures of the event.

  76. I see no pictures at this point that points to Category 4 damage – in fact I doubt Category 3 either but I will await more pictures of the event.

  77. I see no pictures at this point that points to Category 4 damage – in fact I doubt Category 3 either but I will await more pictures of the event.

  78. I see no pictures at this point that points to Category 4 damage – in fact I doubt Category 3 either but I will await more pictures of the event.

  79. I see no pictures at this point that points to Category 4 damage – in fact I doubt Category 3 either but I will await more pictures of the event.

  80. I see no pictures at this point that points to Category 4 damage – in fact I doubt Category 3 either but I will await more pictures of the event.

  81. I see no pictures at this point that points to Category 4 damage – in fact I doubt Category 3 either but I will await more pictures of the event.

  82. I see no pictures at this point that points to Category 4 damage – in fact I doubt Category 3 either but I will await more pictures of the event.

  83. I see no pictures at this point that points to Category 4 damage – in fact I doubt Category 3 either but I will await more pictures of the event.

  84. I see no pictures at this point that points to Category 4 damage – in fact I doubt Category 3 either but I will await more pictures of the event.

  85. I see no pictures at this point that points to Category 4 damage – in fact I doubt Category 3 either but I will await more pictures of the event.

  86. I see no pictures at this point that points to Category 4 damage – in fact I doubt Category 3 either but I will await more pictures of the event.

  87. I see no pictures at this point that points to Category 4 damage – in fact I doubt Category 3 either but I will await more pictures of the event.

  88. The tropical cyclone while in a weakened state has moved down the North Queensland coast and is producing some incredible rainfall. Rainfall totals for the 24 hours till 9 am 13/4/2014 for the Cairns, Innisfail, Townsville and Tully region is impressive and includes the following:-

    Nashs Crossing Alert – 374 mm (Highest total I can find which is an average of 15.5 mm per hour).
    Paluma Dam Alert – 370 mm.
    South Mission Beach Alert – 363 mm.
    Zaltas Alert – 346 mm.
    Boar Pocket Alert – 337 mm.
    Gowrie Creek TM – 335 mm.
    Wallaman Alert 325 mm.
    Abergowrie TM – 323 mm.
    Bulgan Creek Alert – 308 mm.
    Cardwell – 307 mm.
    Hawkins Creek – 304 mm.

    These represent the 300 mm plus totals for the region.

    The city of Townsville has seen some major totals which include:-

    Bushland Beach Alert – 257 mm.
    Black River Alert – 237 mm.
    Aplin Weir Alert – 227 mm.
    Castle Hill Alert – 222 mm.

    Much of Townsville has now been deluged by this storm event.

    There are a number of localities that has received between 250 and 300 mm of heavy rainfall across the region including Upper Major Creek Alert 281 mm and Rollingstore Alert – 274 mm.

    The biggest impact is now the rainfall and associated flooding that this is causing.

    The map below shows where the big totals lie for the period.

  89. Tropical Cyclone Ita weakened to a tropical depression after first intensifying briefly to a Category 1 near Townsville. Extensive flooding has occurred across its path along the NE Queensland coastline.

  90. Tropical Cyclone Ita weakened to a tropical depression after first intensifying briefly to a Category 1 near Townsville. Extensive flooding has occurred across its path along the NE Queensland coastline.

  91. Tropical Cyclone Ita weakened to a tropical depression after first intensifying briefly to a Category 1 near Townsville. Extensive flooding has occurred across its path along the NE Queensland coastline.

  92. Tropical Cyclone Ita weakened to a tropical depression after first intensifying briefly to a Category 1 near Townsville. Extensive flooding has occurred across its path along the NE Queensland coastline.

  93. Tropical Cyclone Ita weakened to a tropical depression after first intensifying briefly to a Category 1 near Townsville. Extensive flooding has occurred across its path along the NE Queensland coastline.

  94. Tropical Cyclone Ita weakened to a tropical depression after first intensifying briefly to a Category 1 near Townsville. Extensive flooding has occurred across its path along the NE Queensland coastline.

  95. Tropical Cyclone Ita weakened to a tropical depression after first intensifying briefly to a Category 1 near Townsville. Extensive flooding has occurred across its path along the NE Queensland coastline.

  96. Tropical Cyclone Ita weakened to a tropical depression after first intensifying briefly to a Category 1 near Townsville. Extensive flooding has occurred across its path along the NE Queensland coastline.

  97. Tropical Cyclone Ita weakened to a tropical depression after first intensifying briefly to a Category 1 near Townsville. Extensive flooding has occurred across its path along the NE Queensland coastline.

  98. Tropical Cyclone Ita weakened to a tropical depression after first intensifying briefly to a Category 1 near Townsville. Extensive flooding has occurred across its path along the NE Queensland coastline.

  99. Tropical Cyclone Ita weakened to a tropical depression after first intensifying briefly to a Category 1 near Townsville. Extensive flooding has occurred across its path along the NE Queensland coastline.

  100. Tropical Cyclone Ita weakened to a tropical depression after first intensifying briefly to a Category 1 near Townsville. Extensive flooding has occurred across its path along the NE Queensland coastline.

  101. Tropical Cyclone Ita weakened to a tropical depression after first intensifying briefly to a Category 1 near Townsville. Extensive flooding has occurred across its path along the NE Queensland coastline.

  102. Tropical Cyclone Ita weakened to a tropical depression after first intensifying briefly to a Category 1 near Townsville. Extensive flooding has occurred across its path along the NE Queensland coastline.

  103. Tropical Cyclone Ita weakened to a tropical depression after first intensifying briefly to a Category 1 near Townsville. Extensive flooding has occurred across its path along the NE Queensland coastline.

  104. Tropical Cyclone Ita weakened to a tropical depression after first intensifying briefly to a Category 1 near Townsville. Extensive flooding has occurred across its path along the NE Queensland coastline.

  105. Tropical Cyclone Ita weakened to a tropical depression after first intensifying briefly to a Category 1 near Townsville. Extensive flooding has occurred across its path along the NE Queensland coastline.

Leave a Reply

s2Member®